

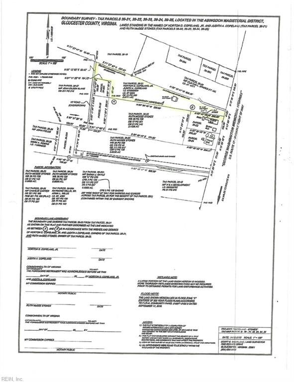
5474 George Washington Hwy Gloucester, VA 23061
10616870
$307
2.08 acres
Land
Gloucester County
Listed By
REIN - IDX
Last checked Mar 16 2026 at 10:44 AM GMT+0000
- All Others Area 120
- Wooded
- Utilities: Electric Avail, Telephone Avail
- Elementary School: Abingdon Elementary
- Middle School: Page Middle
- High School: Other High School
Description